Taifunul Haiyan este printre cele mai violente care au afectat uscatul. După ce a stabilit un bilanţ tragic de peste 10.000 de decese şi 2.000 de persoane dispărute în arhipelagul filipinez, autorităţile din Vietnam au decis să evacueze în jur de 600.000 de oameni din calea furtunii. Haiyan a scăzut însă în intensitate deasupra Mării Chinei şi, cel mai probabil, va fi retrogradat la nivelul 1 înainte să atingă Vietnamul.
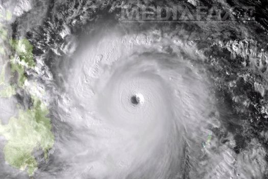
Satelitul meteorologic EUMETSAT şi Karen Nyberg, de pe Staţia Spaţială Internaţională, au reuşit să surprindă imagini cu super-taifunul în plină forţă, deasupra arhipelagului filipinez, în timp ce satelitul Suomi NPP şi satelitul japonez MTSAT au realizat două fotografii ale furtunii înainte ca aceasta să ajungă pe uscat.

Case rase din temelii, stâlpi de electricitate smulşi, maşini răsturnate şi supravieţuitori înspăimântaţi pe străzi: după trecerea taifunului Haiyan, însoţit de valuri de mai mulţi metri înălţime şi rafale de vânt cu intensificări de până a 315 kilometri pe oră, peisajul evocă pentru unii distrugeri similare cu cele provocate de tsunami din Asia din decembrie 2004.
„Sunt distrugeri masive (…) Ultima dată când am văzut ceva de o asemenea amploare a fost după tsunami din Oceanul Indian”, care s-a soldat cu 220.000 de morţi, a declarat la Tacloban Sebastian Rhodes Stampa, şeful echipei ONU care se ocupă de gestionarea dezastrelor.

Mai multe provincii au fost traversate de furtună pe un front de 600 de kilometri şi numeroase localităţi erau rupte de lume duminică.
Îngrijorarea era vizibilă în special în ceea ce priveşte soarta a 40.000 de locuitori din Guiuan, în Samar, punctul de intrare al taifunului în această ţară, vineri. Pentru moment nu s-a putut stabili niciun contact.
În faţa amplorii catastrofei, mai multe ţări şi-au oferit ajutorul.
Statele Unite vor furniza elicoptere, avioane, nave şi echipamente destinate căutării şi salvării, după o cerere din partea Filipinelor, a anunţat secretarul Apărării, Chuck Hagels.
Australia şi Noua Zeelandă au acordat, duminică, un ajutor de aproape jumătate de milion de dolari americani (370.000 de euro), alocaţi Crucii Roşii din arhipelag.

La rândul său, PAM (Programul Alimentar Mondial), o agenţie a ONU, este pe cale să organizeze transferul a 40 de tone de ajutor alimentar. UNICEF, agenţia ONU pentru copii, a pregătit deja 60 de tone de materiale pentru sănătate şi supravieţuire care vor pleca de la unul dintre centrele sale logistice din Copenhaga şi ar urma să ajungă în Filipine marţi.
Comisia Europeană „a trimis deja o echipă pentru a asista autorităţile”, a anunţat preşedintele său, Jose Manuel Barroso. Duminică, CE a anunţat deblocarea a trei milioane de euro pentru a ajuta filipinezii să facă faţă ravagiilor cauzate de taifun.
Aceste fonduri „vor acoperi nevoile cele mai urgente din zonele cele mai afectate” de taifun, din centrul arhipelagului, a precizat Comisia într-un comunicat.
Papa Francisc le-a cerut catolicilor să se roage pentru victime, într-un mesaj publicat pe Twitter, iar secretarul general al ONU, Ban Ki-moon, s-a declarat „profund întristat de amploarea pierderilor umane”.

În fiecare an, arhipelagul filipinez este traversat de aproximativ 20 de furtuni puternice sau taifunuri, în perioada iunie-octombrie. Arhipelagul este prima zonă de uscat pe care o întâlnesc furtunile ce se formează în Pacific.
Dacă bilanţul de 10.000 de morţi se verifică, Haiyan va fi catastrofa naturală cea mai gravă din istoria recentă a Filipinelor. Precedenta catastrofă datează din 1976, când un seism şi un tsunami au provocat moartea a 5.000-8.000 de persoane în Mindanao, o insulă din sudul ţării.
Citeşte şi: Taifunul Haiyan a atins coastele Filipinelor. Preşedintele ţării: „Locuitorii se află în mare pericol” – FOTO
Citeşte şi: Bilanţul taifunului Haiyan ar putea ajunge la 10.000 de victime: „Ultima dată când am văzut ceva asemănător a fost după tsunami din 2004”