CELE MAI NOI ARTICOLE

Un mort şi trei răniţi intr-un accident pe DN1

O persoană a murit şi alte trei au fost rănite, duminică, intr-un accident produs pe DN1, în dreptul localităţii prahovene Cornu, după ce şoferul unei maşini care a încercat să întoarcă fără să se asigure a fost lovit de un alt autovehicul care circula regulamentar.
Un mort şi trei răniţi intr-un accident pe DN1

Băncile germane sprijină relansarea SachsenLB

Un grup de bănci germane controlate de stat va susţine financiar SachsenLB, a doua instituţie financiară locală afectată semnificativ de expunerea faţă de piaţa americană a creditelor ipotecare riscante, aflată în criză, transmite Reuters.
Băncile germane sprijină relansarea SachsenLB

Jay Z, cel mai bogat artist hip-hop din lume

Rapperul Jay Z a câştigat 35,85 de milioane de dolari anul trecut, ajungând astfel pe primul loc în topul celor mai bogate staruri hip-hop din lume, transmite tabloidul Mirror, în ediţia electronică.
Jay Z, cel mai bogat artist hip-hop din lume

Jucătorii lui Manchester United, cei mai urâţi din Premiership

Jucătorii echipei Manchester United sunt consideraţi de cele 500 de femei participante la un sondaj de opinie realizat de Sky Sports HD cei mai urâţi din campionatul Angliei, în timp ce suedezul Freddie Ljungberg, de la West Ham, a fost votat cel mai sexy fotbalist, informează Sunday Mirror.
Jucătorii lui Manchester United, cei mai urâţi din Premiership

Videanu: Litigiul dintre Primăria Sectorului 1 şi Rebu ar putea fi soluţionat pe cale amiabilă

Litigiul dintre Primăria Sectorului 1 şi firma Rebu privind contractul de salubrizare mai are o şansă să fie soluţionat pe cale amiabilă, cele două părţi urmând să se întâlnească, săptămâna viitoare, la Primăria Capitalei, a declarat, duminică, primarul general Adriean Videanu.
Videanu: Litigiul dintre Primăria Sectorului 1 şi Rebu ar putea fi soluţionat pe cale amiabilă

Vaticanul neagă modificarea de informaţii în cadrul enciclopediei online Wikipedia

Vaticanul a negat că ar fi modificat informaţii publicate online în cadrul enciclopediei Wikipedia, după ce această ipoteză a fost avansată într-un articol publicat de BBC, informează ANSA.
Vaticanul neagă modificarea de informaţii în cadrul enciclopediei online Wikipedia

PD iniţiază o campanie de informare publică privind fondurile europene

Fostul ministru al Mediului, Sulfina Barbu, a anunţat, duminică, că PD a iniţiat o campanie de informare a cetăţenilor pe tema absorbţiei fondurilor structurale şi de coeziune şi a acuzat Guvernul că nu a întreprins un asemenea demers necesar.
PD iniţiază o campanie de informare publică privind fondurile europene

Preţurile furajelor au crescut cu până la 30-40%, din cauza secetei şi a speculei

Preţurile furajelor au crescut, din luna iunie, cu până la 30-40%, ca urmare a secetei care a afectat culturile şi a preţurilor speculative practicate de intermediari, însă influenţa scumpirii în preţul final al produselor din carne nu se va face simţită în perioada imediat următoare.
Preţurile furajelor au crescut cu până la 30-40%, din cauza secetei şi a speculei

Casa Albă pregăteşte un plan de retragere treptată din Irak

Casa Albă intenţionează să se folosească de un raport privind progresele din Irak, care urmează să fie prezentat luna viitoare, pentru a propune un plan de reducere treptată a trupelor din această ţară, începând de anul viitor, relatează The New York Times, în ediţia electronică.
Casa Albă pregăteşte un plan de retragere treptată din Irak

Vodafone va cheltui 1,8 miliarde de dolari pentru extinderea diviziei din India

Grupul britanic Vodafone, al doilea furnizor de servicii de telefonie mobilă, la nivel mondial, în funcţie de numărul clienţilor, vrea să acorde contracte de circa 1,8 miliarde de dolari, pentru extinderea reţelei operate în India, potrivit cotidianului local Economic Times, citat de Reuters.
Vodafone va cheltui 1,8 miliarde de dolari pentru extinderea diviziei din India

Senatorii jurişti dezbat, începând de luni, restanţele legislative

Senatorii jurişti încep, luni, o săptămână de lucru pe proiectele de legi restante din sesiunea precedentă, printre care şi pachetul de legi privind siguranţa naţională şi mai multe iniţiative legislative de modificare a Legii privind Statutul judecătorilor şi procurorilor.
Senatorii jurişti dezbat, începând de luni, restanţele legislative

Stoica: E o glumă că mi-aş dori funcţia de preşedinte al PLD şi efectul nu poate fi decât unul comic

Preşedintele CRN al PLD, Valeriu Stoica, a declarat, duminică, pentru MEDIAFAX, că “este o glumă" că şi-ar dori funcţia de preşedinte PLD, iar cei care fac astfel de speculaţii, “ori au un simţ al umorului foarte dezvoltat, ori o capacitate limitată de a înţelege lucrurile”.
Stoica: E o glumă că mi-aş dori funcţia de preşedinte al PLD şi efectul nu poate fi decât unul comic

China ar putea deveni al doilea exportator din lume, în acest an

China ar putea depăşi Statele Unite, în acest an, în ierarhia principalilor exportatori, la nivel mondial, şi poate prelua poziţia de lider în 2008, în defavoarea Germaniei, apreciază ministrul adjunct pentru Comerţ, Yu Guangzhou, citat de agenţia Xinhua, transmite Reuters.
China ar putea deveni al doilea exportator din lume, în acest an

Natalie Portman şi Hayden Christensen, cel mai neconvingător cuplu pe marele ecran

Natalie Portman şi Hayden Christensen din Star Wars au fost votaţi drept perechea cea mai neconvingătoare din punctul de vedere al atracţiei vizibile pe marele ecran, potrivit unui studiu citat de site-ul utvlive.com.
Natalie Portman şi Hayden Christensen, cel mai neconvingător cuplu pe marele ecran

Beckham, Rooney şi Henry, posibile ţinte ale susţinătorilor lui Osama ben Laden

Fotbaliştii David Beckham, Wayne Rooney şi Thierry Henry au devenit posibile ţinte ale susţinătorilor liderului al-Qaida, Osama ben Laden, după ce au apărut pe un site ce încurajează terorismul, unde sunt criticaţi pentru influenţa lor malefică asupra tinerilor musulmani.
Beckham, Rooney şi Henry, posibile ţinte ale susţinătorilor lui Osama ben Laden

George Mihăiţă, amendat în Marea Britanie pentru că şi-a atacat partenera

George Mihăiţă, directorul Teatrului de Comedie din Bucureşti, a fost amendat cu 650 de lire sterline (3.137 RON) după ce şi-a lovit partenera în cap cu o lampă într-o cameră de hotel, informează The Scotsman, în ediţia electronică.
George Mihăiţă, amendat în Marea Britanie pentru că şi-a atacat partenera

Un bucureştean către Videanu: Pe Calea Moşilor se simte adierea de bulevard parizian

Primarul Capitalei Adriean Videanu, însoţit de un alai de jurnalişti, a făcut recepţia primilor trei kilometri de străzi "perfecte" din Bucureşti, edilul declarându-se mulţumit de cele constatate şi fiind felicitat de bucureştenii întâlniţi pe stradă întâmplător sau nu.
Un bucureştean către Videanu: Pe Calea Moşilor se simte adierea de bulevard parizian

Străzi şi gospodării inundate la Braşov

Vestiarele stadionului "Tineretului" din Braşov, opt străzi şi mai multe gospodării din municipiu au fost inundate, în noaptea de sâmbătă spre duminică, în urma unei ploi torenţiale.
Străzi şi gospodării inundate la Braşov

Operaţiune de salvare extrem de dificilă în Piatra Craiului!

Salvamontiştii din Zărneşti s-au luptat aproape 10 ore ca să salveze viaţa unui turist căzut în prăpastie.
Operaţiune de salvare extrem de dificilă în Piatra Craiului!

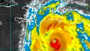
Stare de alertă în Caraibe. Uraganul Dean se îndreaptă spre Jamaica şi Insulele Cayman

Uraganul Dean se îndrepta, duminică, spre Jamaica şi Insulele Cayman, ameninţând să ajungă până în Peninsula Yucatan, din Mexic, sub forma unei furtuni de categoria 5, intensitatea maximă pe scara Saffir-Simpson a uraganelor, relatează Reuters.
Stare de alertă în Caraibe. Uraganul Dean se îndreaptă spre Jamaica şi Insulele Cayman

Prefectura Covasna: Panoul cu inscripţia Ţinutul Secuiesc instigă la discriminare

Prefectura Covasna consideră că panoul publicitar cu inscripţia "Ţinutul Secuiesc", amplasat de către Consiliul Judeţean Covasna la graniţa judeţului Covasna cu Braşov, instigă la discriminare, şi îi cere Consiliului Judeţean să îl demonteze.
Prefectura Covasna: Panoul cu inscripţia Ţinutul Secuiesc instigă la discriminare

Doi pompieri ucişi şi 18 răniţi într-un incendiu în New York

Doi pompieri au murit şi alţi cel puţin 18 au fost răniţi sâmbătă seară, în timp ce încercau să stingă un incendiu izbucnit într-o clădire din Manhattan, în centrul oraşului New York, în apropierea zonei unde se înălţau turnurile World Trade Center, relatează AFP, citând serviciul de pompieri.
Doi pompieri ucişi şi 18 răniţi într-un incendiu în New York

Vlahii din Serbia, recunoscuţi ca minoritate naţională de către guvernul de la Belgrad

Etnicii români din estul Serbiei au obţinut recunoaşterea statutului de minoritate naţională de către Guvernul de la Belgrad, limba română fiind recunoscută ca limba lor maternă, relatează pagina în limba română a BBC News Online.
Vlahii din Serbia, recunoscuţi ca minoritate naţională de către guvernul de la Belgrad

Partidul de guvernământ din Kazahstan a câştigat toate mandatele din Parlament

Partidul de guvernământ din Kazahstan, Nur Otan, a câştigat 88 la sută din voturile exprimate în alegerile legislative de sâmbătă, şi va fi singura formaţiune reprezentată în Parlament, potrivit cifrelor aproape definitive anunţate duminică de Comisia Electorală, relatează AFP.
Partidul de guvernământ din Kazahstan a câştigat toate mandatele din Parlament

The Dandy Warhols şi Phoenix capete de afiş la Stufstock

Cea de-a treia seară a festivalului Stufstock, care se desfăşoară până duminică la Vama Veche, a adus pe scenele principale, în faţa unui public de aproximativ 3.000 de persoane nouă trupe, dintre care cele mai apreciate de public s-au dovedit a fi The Dandy Warhols şi Phoenix.
The Dandy Warhols şi Phoenix capete de afiş la Stufstock

Filmul lui Cristian Nemescu a câştigat Trofeul Anonimul 2007

Filmul "California Dreamin' (nesfârşit)" al regretatului regizor Cristian Nemescu a obţinut, sâmbătă seara, Trofeul Anonimul şi premiul publicului la cea de-a patra ediţie a Festivalului Anonimul.
Filmul lui Cristian Nemescu a câştigat Trofeul Anonimul 2007

Cioroianu a demisionat de la conducerea tehnică a Universităţii Craiova

Tehnicianul Florin Cioroianu a demisionat, sâmbătă seară, din funcţia de antrenor principal al echipei Universitatea Craiova, după meciul din deplasare cu Pandurii Târgu Jiu, pierdut, cu scorul de 0-2, în etapa a IV-a a Ligii I.
Cioroianu a demisionat de la conducerea tehnică a Universităţii Craiova

Dinamo-Dacia Mioveni, scor 1-1

Campioana Dinamo Bucureşti a încheiat la egalitate, scor 1-1, meciul susţinut în faţa formaţiei Dacia Mioveni, în etapa a IV-a a Ligii I, şi a obţinut primul punct pe teren propriu în sezonul 2007/2008.
Dinamo-Dacia Mioveni, scor 1-1

Participarea la alegerile legislative din Kazahstan a fost de 64,56 la sută – cifre cvasi-definitive

Participarea electorală la alegerile legislative din Kazahstan, de sâmbătă, a atins 64,56 la sută potrivit cifrelor aproape definitive anunţate de Comisia electorală, citată de AFP.
Participarea la alegerile legislative din Kazahstan a fost de 64,56 la sută - cifre cvasi-definitive

Universitatea Craiova a înregistrat a treia înfrângere consecutivă

Formaţia Universitatea Craiova a suferit, sâmbătă, a treia înfrângere consecutivă în primele patru etape ale Ligii I, cedând, în deplasare, cu scorul de 0-2, în faţa echipei Pandurii Târgu Jiu.
Universitatea Craiova a înregistrat a treia înfrângere consecutivă

Cristian Chivu, în lotul pentru Supercupa Italiei

Fundaşul Cristian Chivu a fost inclus în lotul campioanei Internazionale Milano pentru meciul împotriva fostei sale echipe, câştigătoarea cupei, AS Roma, programat duminică, la ora 21.45, în Supercupa Italiei.
Cristian Chivu, în lotul pentru Supercupa Italiei

Delio Rossi: Eu nu am auzit scandările suporterilor

Antrenorul echipei Lazio Roma a declarat, sâmbătă, că nu a auzit scandări rasiste ale suporterilor în timpul meciului cu Dinamo, scor 1-1, din prima manşă a turului trei preliminar al LC, şi crede că UEFA ar trebui să deschidă o anchetă doar dacă acestea au fost trecute în raport de observator.
Delio Rossi: Eu nu am auzit scandările suporterilor

Premiul cel mare la Loto 6/49 de duminică, aproximativ opt milioane de euro

Premiul cel mare la Loto 6/49 de duminică va fi de aproximativ opt milioane de euro, acesta fiind cel mai mare premiu din istoria Loteriei Române.
Premiul cel mare la Loto 6/49 de duminică, aproximativ opt milioane de euro

Andone: Respectăm Steaua pentru ce face în cupele europene, dar nu pe Gigi Becali

Antrenorul echipei CFR Cluj, Ioan Andone, l-a atacat, sâmbătă, într-o conferinţă de presă, pe finanţatorul FC Steaua, Gigi Becali, afirmând că nu-l poate respecta după ce la finalul sezonului 2006/2007 a afirmat că a plătit două milioane de euro pentru a ocupa locul doi în clasament.
Andone: Respectăm Steaua pentru ce face în cupele europene, dar nu pe Gigi Becali

O femeie cetăţean german, răpită la Kabul

Bărbaţi neidentificaţi au răpit, sâmbătă, o femeie cetăţean german în capitala afgană, Kabul, a declarat un purtător de cuvânt al Ministerului afgan de Interne, citat de Reuters.
O femeie cetăţean german, răpită la Kabul

Urban şi Romprest vor asigura, provizoriu, salubrizarea sectorului 1 al Capitalei

Companiile de salubrizare Urban şi Romprest au fost contractate de Primăria Sectorului 1 din Capitală pentru a asigura serviciile de profil în următoarele trei luni, după ce autoritatea locală a reziliat înţelegerea cu Rebu.
Urban şi Romprest vor asigura, provizoriu, salubrizarea sectorului 1 al Capitalei

Geoană: Panoul cu inscripţia „Ţinutul Secuiesc” este un ultraj la adresa Constituţiei României

Preşedintele PSD Mircea Geoană a declarat, sâmbătă, că panoul care a fost amplasat la graniţa judeţului Covasna cu Braşov, în apropierea comunei Chichiş, este un ultraj la adresa Constituţiei României.
Geoană: Panoul cu inscripţia „Ţinutul Secuiesc” este un ultraj la adresa Constituţiei României

Materazzi a dezvăluit că l-a provocat pe Zidane insultându-i sora

Fundaşul italian Marco Materazzi a dezvăluit, la mai bine de un an după finala Cupei Mondiale câştigată de Italia, la penaltiuri, în faţa Franţei, că l-a provocat pe Zinedine Zidane să-l lovească şi, implicit, să fie eliminat, numind-o "prostituată" pe sora internaţionalului francez.
Materazzi a dezvăluit că l-a provocat pe Zidane insultându-i sora

Stolojan: Afirmaţiile lui Haşotti sunt „fabulaţii de vară”

Preşedintele PLD Theodor Stolojan a declarat, sâmbătă, pentru MEDIAFAX, că afirmaţiile liderului PNL Puiu Haşotti, potrivit cărora Valeriu Stoica vrea să preia conducerea PLD, “sunt nişte prostii”, şi a refuzat să comenteze astfel de “fabulaţii de vară”.
Stolojan: Afirmaţiile lui Haşotti sunt

O pensiune din judeţul Tulcea şi un fast-food din Venus, închise temporar din cauza neregulilor

O pensiune din judeţul Tulcea şi un fast-food din staţiunea Venus au fost închise temporar după ce inspectorii de la Protecţia Consumatorilor au găsit, la controlul efectuat pe litoral şi în Delta Dunării, mai multe nereguli privind condiţiile de igienă.
O pensiune din judeţul Tulcea şi un fast-food din Venus, închise temporar din cauza neregulilor